按燃烧发生瞬间的特点分类,燃烧可以分为着火和爆炸。爆炸可以看作是燃烧的一种形式(指化学性爆炸),建规中也有一节专门对防爆做出要求。
《建规》中关于建筑防爆的内容,也是从预防性技术措施和减轻性技术措施两个方面展开的,且以减轻性措施为主。
预防性措施,主要是通过防止点燃源、防止形成爆炸性气体或粉尘云环境等来杜绝爆炸产生各要素同时存在。
而减轻性措施,是指万一当爆炸发生,事先已采取的技术措施能减轻事故后果和影响,如合理的建筑结构、设备布局以及控爆措施等。
《建规》关于建筑防爆的14条规定当中,有7条是关于泄压的规定。泄压是指将爆炸产生的巨大压力通过特定装置或轻质结构泄放出建筑,以保护建筑和设备主体安全。
《建规》规定,有爆炸危险的甲、乙类厂房宜独立设置,并宜采用敞开或半敞开式。其承重结构宜采用钢筋混凝土或钢框架、排架结构。
有爆炸危险的厂房或厂房内有爆炸危险的部位应设置泄压设施。
散发较空气轻的可燃气体、可燃蒸气的甲类厂房,宜采用轻质屋面板作为泄压面积。顶棚应尽量平整、无死角,厂房上部空间应通风良好。
采用框架或排架结构形式的建筑,便于在外墙面开设大面积的门窗洞口或采用轻质墙体作为泄压面积,能为厂房设计成敞开或半敞开式的建筑形式提供有利条件。此外,框架和排架的结构整体性强,较之砖墙承重结构的抗爆性能好。


泄压设施宜采用轻质屋面板、轻质墙体和易于泄压的门、窗等,应采用安全玻璃等在爆炸时不产生尖锐碎片的材料。
泄压设施的设置应避开人员密集场所和主要交通道路,并宜靠近有爆炸危险的部位;作为泄压设施的轻质屋面板和墙体的质量不宜大于60kg/m?;屋顶上的泄压设施应采取防冰雪积聚措施。

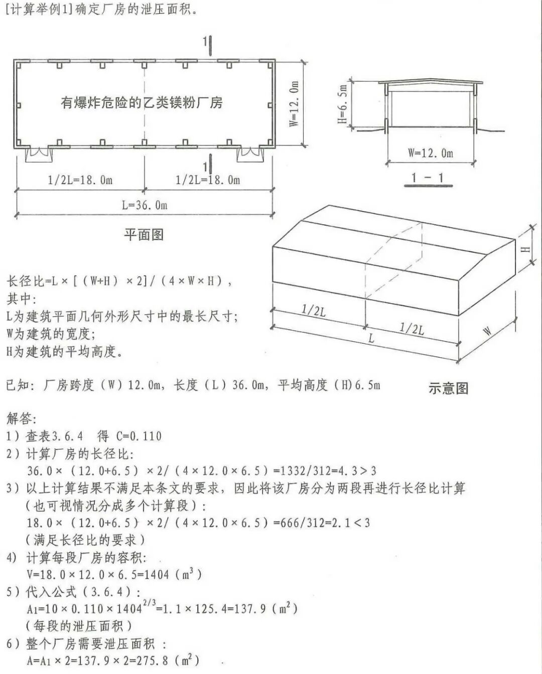
对于泄压面积,厂房的泄压面积宜按公式计算:

式中:A—泄压面积(m?);V—厂房的容积(m?);C—泄压比,其中C按下表取值:

但当厂房的长径比过大时,爆炸压力会在传递过程中不断叠加而产生较高的压力。因此为防止厂房爆炸时产生较大超压,保证所设计的泄压面积能有效作用。
《建规》规定,当建筑长径比大于3时,宜将其划分为长径比不大于3的多个计算段,且各计算段中的公共截面不得作为泄压面积。
长径比为建筑平面几何外形尺寸中的最长尺寸与其横截面周长的积和4.0倍的建筑横截面积之比。在计算泄压面积时,首先要先判断建筑的长径比。
图集中给出了两个泄压面积计算示例,可作为参考。

有爆炸危险的甲、乙类生产部位,宜布置在单层厂房靠外墙的泄压设施或多层厂房顶层靠外墙的泄压设施附近。有爆炸危险的设备宜避开厂房的梁、柱等主要承重构件布置。

散发较空气重的可燃气体、可燃蒸气的甲类厂房和有粉尘、纤维爆炸危险的乙类厂房,应符合下列规定:
应采用不发火花的地面。采用绝缘材料作整体面层时,应采取防静电措施。
散发可燃粉尘、纤维的厂房,其内表面应平整、光滑,并易于清扫。
厂房内不宜设置地沟,确需设置时,其盖板应严密,地沟应采取防止可燃气体、可燃蒸气和粉尘、纤维在地沟积聚的有效措施,且应在与相邻厂房连通处采用防火材料密封。



总控制室的布置
设备仪表较多、价值较高,是某一工厂或生产过程的重要指挥、控制、调度与数据交换、储存场所。
为了保障总控制室人员、设备仪表的安全和生产的连续性,要求这些场所与有爆炸危险的甲、乙类厂房分开,单独建造。

分控制室的布置
基于工程实际,考虑有些分控制室常常和其厂房紧邻,甚至设在其中,有的要求能直接观察厂房中的设备运行情况,如分开设则要增加控制系统,增加建筑用地和造价,还给生产管理带来不便。
因此,当分控制室在受条件限制需与有爆炸危险的甲、乙类厂房贴邻建造时,宜独立设置,当贴邻外墙设置时,应采用耐火极限不低于3.00h的防火隔墙与其他部位分隔。
对于不同生产工艺或不同生产车间,甲、乙类厂房内各部位的实际火灾危险性均可能存在较大差异。对于贴邻建造且可能受到爆炸作用的分控制室,除分隔墙体的耐火性能要求外,还需要考虑其抗爆要求,即墙体还需采用抗爆墙。

有爆炸危险区域内的楼梯间、室外楼梯或有爆炸危险的区域与相邻区域连通处,应设置门斗等防护措施。门斗的隔墙应为耐火极限不应低于2.00h的防火隔墙,门应采用甲级防火门并应与楼梯间的门错位设置。

使用和生产甲、乙、丙类液体的厂房,其管、沟不应与相邻厂房的管、沟相通,下水道应设置隔油设施。
本条为强制性条文。使用和生产甲、乙、丙类液体的厂房,发生事故时易造成液体在地面流淌或滴漏至地下管沟里,若遇火源即会引起燃烧或爆炸,可能影响地下管沟行经的区域,危害范围大。甲、乙、丙类液体流入下水道也易造成火灾或爆炸。为避免殃及相邻厂房,规定管、沟不应与相邻厂房相通,下水道需设隔油设施。
但是,对于水溶性可燃、易燃液体,采用常规的隔油设施不能有效防止可燃液体蔓延与流散,而应根据具体生产情况采取相应的排放处理措施。

甲、乙、丙类液体仓库应设置防止液体流散的设施。遇湿会发生燃烧爆炸的物品仓库应采取防止水浸渍的措施。
甲、乙、丙类液体,如汽油、苯、甲苯、甲醇、乙醇、丙酮、煤油、柴油、重油等,一般采用桶装存放在仓库内。
此类库房一旦着火,特别是上述桶装液体发生爆炸,容易在库内地面流淌,设置防止液体流散的设施,能防止其流散到仓库外,避免造成火势扩大蔓延。
防止液体流散的基本做法有两种:一是在桶装仓库门洞处修筑漫坡,一般高为150mm~300mm;二是在仓库门口砌筑高度为150mm~300mm的门槛,再在门槛两边填沙土形成漫坡,便于装卸。
金属钾、钠、锂、钙、锶,氢化锂等遇水会发生燃烧爆炸的物品的仓库,要求设置防止水浸渍的设施,如使室内地面高出室外地面、仓库屋面严密遮盖,防止渗漏雨水,装卸这类物品的仓库栈台有防雨水的遮挡等措施。

有粉尘爆炸危险的筒仓,其顶部盖板应设置必要的泄压设施。粮食筒仓工作塔和上通廊的泄压面积应按公式计算确定。有粉尘爆炸危险的其他粮食储存设施应采取防爆措施。
粮食筒仓在作业过程中,特别是在卸料期间易发生爆炸,由于筒壁设计通常较牢固,并且一旦受到破坏对周围建筑的危害也大,故在筒仓的顶部设置泄压面积,十分必要。


本条未规定泄压面积与粮食筒仓容积比值的具体数值,主要由于国内这方面的试验研究尚不充分,还未获得成熟可靠的设计数据。根据筒仓爆炸案例分析和国内某些粮食筒仓设计的实例,推荐采用0.008~0.010。

有爆炸危险的仓库或仓库内有爆炸危险的部位,宜按本节规定采取防爆措施、设置泄压设施。
在生产、运输和储存可燃气体的场所,经常由于泄漏和其他事故,在建筑物或装置中产生可燃气体或液体蒸气与空气的混合物。当场所内存在点火源且混合物的浓度合适时,则可能引发灾难性爆炸事故。
为尽量减少事故的破坏程度,在建筑物或装置上预先开设具有一定面积且采用低强度材料做成的爆炸泄压设施是有效措施之一。在发生爆炸时,这些泄压设施可使建筑物或装置内由于可燃气体在密闭空间中燃烧而产生的压力能够迅速泄放,从而避免建筑物或储存装置受到严重损害。
在实际生产和储存过程中,还有许多因素影响到燃烧爆炸的发生与强度,这些很难在本规范中一一明确,特别是仓库的防爆与泄压,还有赖于专门标准进行专项研究确定。为此,本规范对存在爆炸危险的仓库作了原则规定,设计需根据其实际情况考虑防爆措施和相应的泄压措施。
-END-
知识点:厂房和仓库的防爆
0人已收藏
0人已打赏
免费1人已点赞
分享
建筑规范
返回版块34.61 万条内容 · 518 人订阅
回帖成功
经验值 +10
全部回复(0 )
只看楼主 我来说两句抢沙发