土木在线论坛 \ 建筑设计 \ 中国建筑史 \ 中国建筑的演化

中国建筑的演化

发布于:2022-10-21 13:28:21 来自:建筑设计/中国建筑史 [复制转发]

当代的考古新发现,使古代建筑萌芽的上限不断地前移,但是可以断定,从原始社会末期到夏商时期,建筑的演变还没有走出“茅茨土阶”的原始空间阶段。“倾宫瑶台”的景观描述或许只是后世的夸饰。“世室”“重屋”的建筑制度或也并未形成典章。在上古聚落中,现知最早的疑似都城痕迹,是距今四千多年前,鲁南、晋南和豫西从龙山文化到夏代的遗址,与夯土板筑的城堡形态联系在一起。


从河南偃师二里头晚夏和早商遗址,到安阳的殷墟,尚未看到后世都城制度的直接祖型。《周礼·考工记》才披露了中国古代聚落和建筑制度的根基是周代建立的,涉及都城、宫室、坛庙、市场、民居即营造技术等诸多方面,标志了“古风时期”的开始。但是事实上春秋战国时已经“礼崩乐坏”,周礼的建筑制度即使在先秦时期也并未被完整地推行过。


列国官方建筑制度的差异性远大于同一性,因而才会有秦始皇攻灭六国,“写放”其宫室于渭河之滨的故事。在楚辞、汉赋等历史文学作品中,也可看到当时地域建筑景观中高台榭,美宫室的影子。直到西汉初期,在“独尊儒术”的旗号下,周制才成为了士族文人和工官们所托古、考辨和演绎的正统营造制度,但与“克己复礼”的崇古理想总是若即若离的。



图片

二里头遗址


秦朝的大一统,荟萃列国建筑精华于关中。对建筑演进影响最直接者,当首推统一度量衡,因为尺度的统一,必是建筑体系形成的先声。至汉武帝时,一方面,考辩古制,崇周托古,并在建筑上加入了许多荒唐的谶纬做法。另一方面,既延承秦制,又应时变通。在制度和技术两个层面上都对既往进行了整合和改进,也可说是造就了后世“官式建筑”的雏形


由秦汉上朔商周,下及魏晋南北朝。建筑多见偶数开间,中轴线上有中柱或“都柱”,很可能沿袭了远古先民搭帐或构屋先立中柱的习俗,并可能曾作为结构柱列布置的基准。至今在西南羌、瑶、壮、哈尼、纳西等少数民族建筑中仍保留着倚重中柱的古风。


在汉代的建筑遗迹和文献记载中,已可见到中国木构建筑体系所具有的大部分特征,如抬梁、穿斗和井干三种结构形式;庑殿、歇山、悬山、攒尖等屋顶式样;坛庙,陵寝制度;闾里、市肆、山水园林景象等,大都见于汉代的图像和文献中,以往学界多认为中国古代建筑体系成型于两汉属于论断而非结论,但将下限定在汉代,基本上符合历史事实。由此可以断定,汉代应属华夏建筑的“古风盛期”。


图片

汉长安



魏晋时又修正汉制,如宫城近于中轴线北侧,实行大朝“东西堂”制和“宫衙制(宫城内与朝廷并列的宰相衙门)”;棋盘状的道路和闾里;因山为陵等,都影响了其后南北朝和隋唐的建筑制度。西晋的荀勖考辨典章,检核律尺,也是涉及营造制度的重要事件。


魏晋至南北朝,动荡的社会,险恶的仕途及频仍的战乱,却给东汉传入的佛教建筑提供了传布的契机。心向禅境,清淡玄机和离俗遁世、寄情山水的文人价值观和精神状态,则促使了古代园林在理念和手法上的演进。以存在为先的观点,山水画应源于山水园林,反过来又影响了后来的文人园。


佛教建筑在东汉末从印度折经键陀罗和中亚的巴米扬、帕米尔高原,龟兹等地传到汉土,并在300年左右的时间内,被汉地固有建筑成功涵化,出现了以中国系为代表的东方佛教建筑系统。比如,佛寺在西域时的不规则布局,演为轴线对称的中国宫(宅)院式布局;初传时的以塔为中心,演变为以佛殿为中心;键陀罗的多级窣堵坡( stupa,塔)转化为顶加窣堵坡的中国楼阁式塔等。由于历史上“三武一宗”灭佛事件的后果,佛教建筑这一中国古代保留下来最早的建筑类型,除了晚唐的几座木构遗存,石窟寺和少量的砖塔外(如现存最早的古代地面足尺建筑嵩岳寺塔),其余大都是五代以后的遗构。


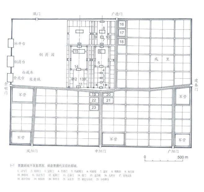
图片

曹魏邺城



图片

佛塔演变



五胡的入主中原,使游牧部落在定居汉化的同时,也将草原文化的某些特征带给了汉地,比如在悬垂的帐幕与折曲的木构坡屋顶之间,以及在草原民族钟爱的青绿色泽与后来官式建筑的青绿彩画之间,似乎存在着视觉和习性模仿上的内在关联,特别是折曲的坡屋顶,虽《考工记·轮人》中已有对柔曲的帐幕轿车顶“上尊宇卑,吐水疾而遛远”的描述,但有显著迹象表明,直到东汉以后,模仿这种姿态的木构柔曲坡顶才渐流行,这与南北朝时期北方游牧民族定居中原的背景不无关联。


至于彩画的着色,汉以朱,黑及烫金为贵,唐以朱、白相配为主,其间由于南北朝起的胡汉相习,遂又尚青绿之风,中古以降,“石青”“沙青”、“波斯青”等青绿渐成彩画着色主调。加上南朝梁从印度引入的“叠晕”之法,成就了异质文化的色彩交融


随着西域交通的发达丝绸之路上传来的其他建筑因素也纷纷融于华夏体系,使后者濡染了不少“胡气”,如卷草纹、琉璃瓦、须弥座的采用,梭柱、鸱尾的出现,以至高足式家具的东来,都与印度、中亚、波斯、希腊的因素,以及中亚游牧民族的文化传递作用,有着直接或间接的关系。于是,古风的急剧转变便由此发生了。


图片

胡气对汉地建筑的濡染



可以说,魏晋至南北朝,是中国古代建筑体系的首次重大演变转折期,华夏文化圈内外不同地域、不同民族间的殊源同流和互动交融,是这—建筑转变的首要推力,并为“古典时期”的到来提供了丰厚的文化积淀,就此可以说,中国大屋顶的“古典建筑”,从头到脚都与西域影响有着清晰可辨的因缘关系,乃是一个基本的历史事实。中国营造学社创始人朱启钤(1871-1964)对此早有精辟见解:“盖自太古以来,早吸收外来民族文化结晶至近代而已也。凡建筑本身,及其富丽之物,殆无一处不足见多数殊源之风格,混融变幻以构成之也“。


隋唐的又一次大统一,将同中有异的南北朝建筑谱系再加整合,并把对周制的考释,与汉魏以来的建筑遗存相融合,促成了城市、宫殿、坛庙、陵寝、寺观、园林、民居等方面的新变化。特别是颁布《营缮令》,实行宫城—皇城—都城的三重城制度,里坊制度,纵列的宫廷三朝制度,离宫别苑制度,高度汉化的佛教寺院制度,以及依稀可辨的营造用材制度等,都将古风时期的建筑演变推向了高潮。唐朝兼容华夷,崇尚博大,因而“唐风”建筑的雄浑豪劲,确实是有其时代缘由的,与当时的诗词、书法、绘画等文艺作品在风骨上可作类比。可以想见,唐朝的城市与建筑制度及其风范已为后世奠定了基型,中国建筑史上的“古典时期”由此拉开了序幕


宋、辽、金时期的城市与建筑基本源于唐朝的传统。但由于宋代的商业和对外贸易异常发达,有冗余的资源对历代的文化积累进行细致整理和提升,技术发明和文化典籍纷纷涌现,在经济和文化上形成了部分类似于“文艺复兴”的局面。宋朝建筑上承隋唐、五代,下启元、明、清,使古代建筑体系从隋唐时的高峰转入了成熟的阶段。特别是又—次修正典章,检核律尺,重编黄钟律,并影响了营造尺的统一,营造制度被纳入了典章制度四大分类“律”“令”“格”“式”的“式”中,对古典建筑的成熟起到了重要推动作用。


图片

唐长安



出于“关防工料”,监控贪渎,强化土木工程管理的需要,北宋末年招集南北各地名匠,在将作监丞李诫的主持下,重修了元佑年间编成的《营造法式》(以下简称《法式》)一书,弥补了其“只是料状”,缺乏“变造用材”制度的缺憾,并于崇宁二年(1103)刊行天下。这是中国古代第一部由中央政府主持编修,包含了设计、用料和施工详细内容的营造规程。其核心部分,是对土木工程的设计和施工做出规格化和程式化规定,规范了大木作(结构)、小木作(装修)、石作、瓦作砖作、彩画作等13个营造工种的用工、用料和工艺做法。


“变造用材”的关键,是确定用料的基准,并要满足两个前提,一是适应于区分等级,二是方便于计算工料。古代惯常的做法是,选择用量较多的大木构件断面为度量基准,因而铺作层的枋木(拱)断面便在首选之中。以斗拱做基准也并非偶然,据李诫本人提及,早在《法式》产生以前,就可能有过“倍斗取长”,以“栌斗”长度为度量基准的习惯(《法式》韵子),唐、辽遗构中已可见以拱断面(“材”)为用料基准,宋代则将之细化成了类模数化的用材制度。《法式》大木作制度开篇便规定,建造房屋“以材为祖,材有八等”;“单材”高为15份,宽为10份,一份即为材宽的1/10,材高加6份(即加一栔,此亦是拱木间或铺作层间的距离)为“足材”,“材” 、“栔”、“份”皆为类模数化的量度单位;房屋的高度,开间、进深和一应构件,都要按房屋等级和材等大小,换算成各构件规定的实际尺寸,然后方可下料施工,此即《法式》所要推行的“变造用材”制度,是打开宋代营造大门的一把钥匙。


图片

材份制


紫禁城总图

诠释这一用材制度的关键,是厘清材等之间的递变值关系。依照《法式》,八等材高在9寸和4.5寸之间递减,其数值关系,似与音律按一个八度音频递减的律管长短排列关系趋近,这暗示了材分八等的动机及其数值变化,应在一定程度上附会了黄钟律,即一等材9寸和八等材4.5寸,分别是对首律黄钟及高八度音清黄钟的比附。按宋代继西晋后,又一次恢复音律古制,强化了以黄钟律为重要根基的礼乐制度,度量衡的修正也必然受其影响。营造尺来自律尺,二者虽不等同,然《法式》材等递减方式与黄钟律的递减规律有着同构关系却是完全可能的。


总之,宋代的营造用材制度属于程度较低的类模数化,可能是牵就礼乐制度的原因,使文化诉求的感性动机,造成了技术操作的不合理结果,其总体思路是将八等材两端常用的大材和小材递减值统一,而将不得不有的递减值变化置于不常使用的四等材和五等材,这样既满足了用材等级和附会礼乐的需要,又便于工料计算和套裁用料,足见其用心之良苦与巧妙。直到清代,以材等递减值统一为前提,营造用材制度才有了更接近于模数化的呈现。


然而,《法式》虽在宋都官修,匠作精要却取自南北民间,并承袭了先宋传统。虽明定变造用材严规,却留有“随宜加减”余地;虽初颁于北宋崇宁,却散佚重刻于南宋绍兴(遗存最早的仅为绍定本)。或许就是因为这些因素,造成了一些复杂的营造现象。比如,宋《法式》做法却可见于唐,五代遗构;宋代及其同时期的辽、金遗构虽与《法式》制度相近,但用材等级的控制主要只部分地限于斗拱铺作,具体做法却程度不同地表现了各地的特异性,与《法式》制度本身相差较大;而在民间的木构建筑中,近世尚可见与《法式》做法相近的早期遗风。这些似乎都说明了,《法式》的渊源在时空上是超越宋代,跨越南北的,其演化脉络贯穿于官式建筑和风土建筑之间。


图片

宋汴梁



除了颁布营造规程,宋代城市与建筑的主要特征还表现在,由于特殊历史原因造成的双重郭城(子城和罗城),居中的宫城,宫前御街千步廊,雉门五凤楼;左祖右社;轴心舍与工字殿;没有坊墙封堵的厢坊制;曲尽品泉赏石之趣的文人园;理学和庄园经济影响下的城乡聚居制度等。一幅石渠宝籍三编本的北宋《清明上河图》,真实地表达了当时的城乡街道、建筑及其生活场景。作为成熟的典范,宋代建筑的这些特征大部分为元、明、清所继承和发展。因此可以说,中国历史上的“古典建筑”作为营造制度的产物,由唐至宋已经成熟化了。


从建筑式样演变的背景上看,军事上积弱的宋朝,先后受到北方辽、金政权的武力挑战,文化中心逐渐南移,因而两宋之际的官式建筑在式样上较之前代秀丽柔和,渐趋向江淮的地域特征,如翼角起翘、斗拱造型、装饰线脚等,都更为柔曲与西北和华北地区延续“唐风”的辽代式样有所不同,这样一种差异首先是由地域因素造成的。又譬如金朝的建筑式样,在黄河南北分别趋近于宋和辽。所以在技术基础大致相同的前提下,古代建筑式样的特征与变迁,主要是地域文化的差异使然,即主流文化在空间移动中,使建筑在艺术风尚和制作手法上也吸收了不同的地域特征,而朝代的更替却未必就是建筑演变的分野。


图片

元大都



短暂的元朝曾占有横跨欧亚大陆的辽廓疆域,使中外各国、各族的建筑又一次发生了大的交融,以喇嘛教和伊斯兰教建筑为代表的宗教建筑兴盛一时。元朝在建筑制度上继承了宋、辽、金的遗产,特别是都城建设,与宋汴梁和金中都一脉相承,刘秉忠等人还有意识地在元大都规划中进一步复兴周王城制度,如皇城居中,左祖右社,面朝后市等均相附会,同时,元朝也将中亚和漠北民族风格的建筑,揉合在了礼制宫廷的群体布局之中,如畏吾尔殿、棕毛殿等,耐人寻味的是,在中国大陆现存古建筑中,初建于元以前的竟有四分之三在山西,其中唐,宋、辽、金时期的遗构不过100余座(保存唐代主体构架的建筑仅存4座?)。在山西现存全部18000多座古建筑中仅占不足0.6%,也明显低于元代建筑的数量。因而即使考虑到元以后历代的变化因素,仍会判断出元时破坏与重建的规模相当惊人,因此,在元代遗构中,可以普遍观察到毁后重建中虽趋近宋、金式样,但却明显简易于前者的做法,如构架中的减柱及大内额,减梁及大斜袱,以及大量使用未加工或仅粗加工的木料等。


图片

山西广胜下寺剖面图



明清是古代建筑体系集大成的时期。在都城和皇家建筑制度方面,将宋汴梁、元大都对周制的复古和演绎发展到极致。如宫城与都城的中轴线几乎重合,完整的三朝五门制度,完整的郊祀制度,以及宏大的皇家苑囿、陵寝等,在民间,街坊和市肆格局及场景,在很大程度上趋于近代特征。入明以来,无论是官式建筑还是民间建筑,都受到了江南苏、赣等地工匠系统的强烈影响,特别是苏州的“香山帮”,对明清官式建筑风格的基调奠定起到了举足轻重的作用。清代宫廷御用家族建筑师“样式雷”,在图纸和模型表达方面,已达到了古代建筑工程设计的巅峰。


图片

明清北京



用砖的普及是明代建筑的一大特征。自西周铺地用砖以来,东周开始用空心砖做墓室,西汉中叶出现砖拱结构。文献记载西晋初建起砖塔,魏晋南北朝开始用砖包镶城门城角,火器发展促成宋元之交的大型砖拱城门,西域伊斯兰砖穹窿的窑殿也于此时传入内地。到了明朝,砖大量生产,不再是昂贵的建筑材料,民间砌墙用砖遂流行,悬山做法渐融于硬山,而城墙全部包砖,出现大跨砖拱无梁殿等,成为了当时的标志性景观。从砖之用途由周到明的历史,可以窥知其与厚葬、宗教祭祀及城市防御的因果关系。就拱券结构而言,其在汉代的出现和元起的发达,都与西域交通背景密不可分


明清之际也是古代建筑体系的古典晚期,无论是从文献上,将宋至明前期的《营造法式》、《梓人遗制》、《营造正式》与《鲁班经匠家境》相比照;还是从图像上,把宋版石渠宝籍三编本的《清明上河图》,与明清各版《清明上河图》做对比,都可以说明,这个时期大约从明万历前后就开始了。这一演变首先表现在用材制度以及结构和装饰的关系方面。


清朝的在用材制度上更为细致合理,工部《工程做法则列》规定,材等按宽度分为十―个等级,以材宽的“斗口”取代材高,作为基本度量单位。这一用材等级制与《营造法式》一脉相承,但明显向实际操作的合理化发展了。其一材等递变推测依然是先定首尾两个材等,一等材宽仍为6寸(清尺),材高减一份为8.4寸,高宽比为1.4 : 1;十一等材宽定为1寸,则材高为1.4寸;11个材等之间形成十个递减区间,材宽递减率为(6寸-1寸)÷10-0.5寸,材高递减率为(8.4寸-1.4寸)÷10-0.7寸。


这样,材等递减终呈线性关系,完全实现了均匀递减的模数变化,在此可看出三个关键点,其一,保留了《营造法式》材等递减的意图,但没有再附会礼乐而致递减值不等;其二,保留了宋一等材宽基值6寸,在6寸和1寸间设10个相等的递减区间,从而成为斗口分为十一等的合理缘由;其三,材高减一份,就使足材高宽比变为二比一,由于清代大量使用四等以下小材等的足材,故更便于取材时的换算。因而清代统一用“斗口”为用料度量基准,这一用材制度,控制了“大式”建筑几乎所有的构件尺度。


图片

斗口制



清代建筑的装饰构件与结构构件在功用上分离,特别是斗拱,虽然保留了作为度量和象征的功用,但结构功用明显退化,渐成了附着于结构表面的纯粹饰物。这样的变化,应该在明代就开始了。由于审美口味的奢靡化,加之木工工具的不断改进和加工工序的复杂化,促成了建筑装修,家具摆设上的琐细雕镂之风,建筑表面崇尚些许艳俗的色彩装饰。因而从整体上看,清朝官式建筑在结构合理进化的同时,艺术张力反而趋于萎缩。再无古典前期豪劲和舒展的气韵可言了,这与西方建筑从文艺复兴和古典主义走向巴洛克和洛可可,在艺术发展的逻辑上十分相似。从而也标志了以木构为主体的古代建筑体系,在清代后期已近于尾声。


古典园林亦是如此。比如苏州、扬州、太仓(娄东)、湖州(吴兴)等江浙地方的私家园林,通过“精在体宜,巧于因借”(计成)的意匠,和“小中见大”的借景、障景等掇山、理水手法,把“隐喻的境”,“写意的形”和“模糊的界”等中国古典园林的特质发挥到了极致,以致在清中期以后,也有“熟透”后颓萎琐碎的“洛可可”化迹象。


此外,以利玛窦(Matteo Ricci,1552—1610)和徐光启(1562—1633)合译《几何原本》,以及郎世宁(Giuseppe Castiglione, 1688—1766)带来其师安德列奥·波佐(Andrea Pozzv,1642—1709)的《透视画法和构图》为标志(年希尧据此作《视学》),西方文艺复兴以来投影几何及近代透视法的传入,对中国的古典绘画和图学发展影响深远。清代宫廷御匠“样式雷”的图样与烫样,既传承了中国界画、散点透视及模型的古法,也应或多或少地受到了前者的濡染。


从民间风土看,各地域建筑也在成熟演化后趋于墨守成规的晚期特征,且营造活动中愈来愈多地糅杂了浓烈的迷信,禁忌成分,譬如具有命运寄托和心理暗示作用的风水术的盛行等。明万历年间出现的《鲁班经匠家镜》一书,便是这一变化趋势的真实写照。这似乎可以说明,当中国古代建筑体系演变到晚期,有关营造的风俗是如何从文化根基上深深嵌入到了中国人的集体无意识之中的。即便是到了近现代以至当代,这种营造风俗依然深刻影响着海内外华人的择居和营居活动。


图片

北京协和医院


鸦片战争后,以五口通商城市为始,农耕文明的中国渐次植入了西方近代工业文明的要素,延续了数千年的中国古代建筑体系也开始向近代建筑过渡了。继而,资本主义的工商业及其陆上交通线促使中国传统城市改变面貌。“租界” 、“商埠”、“铁路附属区”等成为“半殖民地”的空间性标识,特别是“洋务” 、“维新”、“新政”以来,新的近代建筑类型,如市政设施与工业建筑,以及宗教、学校、商业、娱乐等公共建筑纷纷移入,但是从总体上看,这些变化在相当长的时间内并没有触及农耕时代绝大多数中国传统城市的根本,更勿庸说城乡结合部和广大的乡村了,直到20世纪80年代以前,中国的大部分城乡,依然保持着古典晚期大致的格局和规模,城市化程度非常低下。


如果把西方文明的历史看成竖向的演替和攀高,那么中国文明的历史就是横向的延续和致远,从这个意义上,佛莱彻《比较建筑史》中那棵饱受非议且已“砍掉”的人类建筑之树(第5版起出现的插图),似乎也有一点道理。欧美主干垂直向上生长,中国、日本等分枝则水平往前延伸。如果不带有后殖民的情结,可以理解西方建筑经过文艺复兴和古典主义,大约从启蒙运动和新古典主义开始已向现代进化,中国的近现代建筑是与之相关的后来者,从这个意义上可以说中国古代建筑进化很有限,这是一个与文化相对主义并不矛盾的历史事实,但也不能因此而贬低其价值。


图片

金陵女子大学100号楼


启蒙前后,建筑有两种风格上的理念差别,即古典主义:秩序高于情感,自然法则超越主体意识,为社会上层专属;新古典主义:秩序服务情感,主体性高于客体性,开始从上层“下放”。因而新古典主义更注重建筑的人文主义和感性因素,而非古典主义的秩序理性,这就更加适合于启蒙以后的新时代,尤其是法国大革命后,随着社会体制,人际关系,功能,结构,材料等的不断近代化,新古典主义广泛面向社会公共建筑。因而新古典主义虽然披着古典的外衣,其实却是偏离旧秩序的,不过是现代建筑前夜的一种“伪形”而已,中国建筑则不然,从观念形态上没有经过现代启蒙,古典从未中断直到20世纪后期以前,迈入现代的主观意向和历史机缘均受到局限。这样看来,“复古”这个词,对于这一段的中国建筑演变特征来说,就未必那么适用,中国和西方近代建筑的进程、语境和内在逻辑显然不是一回事。


图片

中山陵


然而,就形式而言,中国建筑的新古典主义虽与西方新古典主义语境不同,却有因果关联,实际上肇始于西方建筑师的“土妆洋戏”和 布扎(ECOLE DES BEAUX -ART)的中国转译,目的是为了实现西风东渐中的文化适应(Acculturation)。


19世纪末,西方建筑师在商贸和传教的背景下,揣摸中国的民族审美心理,探寻文化适应(acculturation)的建筑之路,率先尝试了中国新古典主义的建筑风格。其代表人物是1911年来华的加拿大建筑师胡塞(Harry Hussey, 1881—1968)和美国建筑师默菲(Henry K-Murphy ,1877—1954)等人;他们设计的北京协和医院和燕京大学都是将现代功能的建筑罩上了中国古典的躯壳。1930年初,丹麦建筑师姆勒(又名艾术华.Johannes Prip-Mfller ,1889—1943)在香港新界沙田境内的道风山,设计了中国传统式样的基督教堂建筑群,属大型中国新古典建筑群,与此同时,庚款留学归国的中国建筑师吕彦直、赵深、庄俊、陈植、童嶲、杨廷宝、董大酉等所设计的中国新古典主义建筑,在手法上将西方建筑师的探索进一步内化为中国建筑师自己的体验。


图片

中山纪念堂


图片

大上海特别市市政厅


另外,西方建筑师当时在中国也设计了大量的欧美新古典主义、浪漫主义及其装饰艺术风格的建筑(Art Deco)。特别是后者,是一种对历史题材和造型进行图像提炼和几何化的装饰风尚,既能适应发达工商城市的摩登生活场景,也能满足现代审美时尚的口味变化。而现代建筑的功能主义和“国际式”却没有在中国近代城市的建筑价值取向上得势。


以上海为例,如英商公和洋行(Palmer&Turner Architects and Surveyors)设计的上海外滩汇丰银行(1923年,新古典)、沙逊大厦(1929年,装饰艺术化的浪漫新古典)等;德和洋行(Lester,Johnson & Morris)设计的先施公司(1915年,新古典)等;匈牙利建筑师邬达克(L.E. Hudec)设计的慕尔堂(1930年,新哥特复兴),真光大楼(1930年,从新哥特复兴向装饰艺术风格过渡)和国际饭店(1934年,装饰艺术风格)等。这些对中国建筑师发展中国新古典并使之装饰艺术化也有一定影响。如刘既漂在西湖博览会中所做的中国Art Deco探索;李锦沛在上海基督教女青年会大楼中采用的中国宫廷图案;以及陆谦受在上海中国银行大楼中所使用的中国传统花卉母题等,但除了西湖博览会建筑中的那种鲜明而夸张的装饰艺术风格追求之外,其他的还只能说是新古典主义范畴内出现的装饰艺术化倾向。


图片

外滩


中国1930年代新古典主义建筑思潮的社会背景,是“五四”以来的“整理国故”运动,国民党政府所提倡的“新生活运动”以及作为民族国家象征的“中国固有式”追求等。1949年新中国建立后,倡导“民族形式,社会主义内容”,主要是当时的政治背景使然。从建筑风格的角度看,仍是1920-1930年代新古典主义的延续,相比之下,日本建筑界在明治维新后期也有过类似的新古典主义潮流,但在本世纪20年代以前,已经结束了古典与现代之争,走上了现代风格的新建筑道路。建筑上的尚古转向了对遗产的保护与研究。而中国作为东亚儒家文化圈的母体,没有经过现代性的洗礼,长期以来对国粹抱持着保守主义的立场,未能将遗产保护与建筑进化加以区分。


因而在上世纪大部分时间里,主流的价值观一直认为,文化差异维系着对血缘般的文化认同,建筑是文化的一部分,必须在形式上反映国家与民族之间的差异,建筑只有民族化方能国际化,因而民族形式是必要的。民族性和地方性成了建筑界经常议论的话题。即使与西方建筑存在着历史性的错位,20世纪80 - 90年代还是涌现出了一批高质量的扎根地域、结合现代的中国新古典主义和装饰艺术化的新建筑。当中国当代建筑在西方领先和话语霸权的影响下价值迷失、踉跄摸索和搬抄学习的同时,当然更应有理由对上一、两代建筑师执著于发扬本土传统的创作情感和钻研精神心怀敬意。实际上,今天仍然需要在新的起点上“扎根本土、关注古今的演变”。


世纪之交以来,建筑的价值取向进一步趋于多元化。从整体看,农耕文明的建筑,作为文化遗产的一部分,已经成为历史的纪念物。但是中国传统建筑中的某些智慧和形式感,如顺应生态系统、被动式利用资源、柔性的构造方式及优美的图案装饰等等,对现代建筑设计依然具有启发意义,依然是某些建筑创作的灵感源泉,这也是显而易见的。



来源:厘想建筑教育

知识点:中国建筑的演化

中国建筑史

全部回复(0 )

只看楼主 我来说两句抢沙发
这个家伙什么也没有留下。。。

中国建筑史

返回版块

5.15 万条内容 · 173 人订阅

猜你喜欢

阅读下一篇

中国建筑的演变分期

原始建筑:仰韶聚落-穴居;龙山聚落-版筑;河姆渡聚落-榫卯、干栏建筑    1余姚河姆渡遗址发掘出新石器时代的干阑建筑遗存,已能采用榫卯结合,并已具备多种榫卯类别。 2“巢居”:由单树巢、多树巢向干阑建筑的演变。 “穴居”:由原始横穴、深袋穴、半穴居向地面建筑的演变。 3穴居发展序列所积累的土木混合构筑方式成为跨人文明门槛的夏商之际直系延承的建筑文化,自然成了木构架建筑生成的主要技术渊源。

回帖成功

经验值 +10