本节主要讲解沉淀池的设计计算内容。
排水部分的沉淀理论和给水部分的沉淀理论基本一致。沉淀从物理化学角度可以分为容积沉淀和表面沉淀,其中容积沉淀又分为自由沉淀、絮凝沉淀、拥挤沉淀和压缩沉淀4种类型,表面沉淀就是过滤。对于过滤是给水当中的重点内容,在此不叙述。
对于容积沉淀的4种类型,各自代表段工艺如下所示。
1.自由沉淀:平流沉砂池、沉淀池初期沉淀;
2.絮凝沉淀:初沉池经过短暂的自由沉淀后马上进入絮凝沉淀、活性污泥在二沉池沉淀初期也属于絮凝沉淀;
3.拥挤沉淀:也叫成层沉淀,代表段工艺是活性污泥在二沉池的沉淀中期、污泥浓缩池开始沉淀阶段,都属于成层沉淀;
4.压缩沉淀:活性污泥在二沉池的沉淀后期、污泥浓缩池的重力浓缩阶段,都属于压缩沉淀。
在沉淀理论中,需要知道的是著名的斯托克斯公式,对于斯托克斯公式,我们需要掌握以下两点内容。
1.温度升高,水的粘滞度减小,颗粒的沉速增加;
2.斯托克斯公式从表面上看,是利用颗粒粒径求沉速,但是实际上该公式是用于对水中悬浮颗粒粒径大小分布进行颗粒粒径分析的,毕竟对于水中颗粒来说,沉速容易测,但是粒径测量却很困难。


▲斯托克斯公式参数说明
对于沉淀池的分类,从不同角度出发有不容的分类方法。
1.按位置和工艺不同,可以分为初沉池和二沉池(如何区分初沉池和二沉池?以生物处理构筑物为界限,生物处理构筑物前的沉淀池就是初沉池,生物处理构筑物后的沉淀池就是二沉池);
2.按沉淀池的运行方式分类,可以分为间歇式(分为进水、静止、沉淀、排水,由设置在沉淀池池壁不同高度的排水管排出)和连续式(污水连续不断的流入与排出);
3.按沉淀池内水流方向不同,可以分为平流式、竖流式和辐流式。

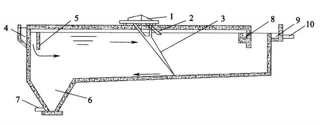
▲平流沉淀池:1.刮泥行车;2.刮渣板;3.刮泥板;4.进水槽;5.档流墙;6.泥斗;7.排泥管

▲辐流式沉淀池

▲竖流式沉淀池
三种沉淀池的特点及适用条件如下总结所示。
★平流式
1.其优点有2个:①对冲击负荷和温度变化适应能力较强;②施工简单,造价低。
2.其缺点为:采用多斗排泥时,每个泥斗需单独设排泥管各自排泥,操作工作量大;采用机械排泥时,机件设备和驱动件均浸入水中,易锈蚀。
3.其适用条件为:①适用于地下水位较高及地质较差的地区;②适用于大、中、小型污水处理厂。
★竖流式
1.其优点有2个:①排泥方便,管理简单;②占地面积小。
2.其缺点有4个:①池子深度大,施工困难;②对冲击负荷及温度变化的适应能力较差;③造价较高;④池径不宜太大。
3.其适用条件为:处理水量不大的小型污水处理厂。
★辐流式
1.其优点有2个:①采用机械排泥,运行较好,管理亦较简单;②排泥设备已有定型产品;
2.其缺点有2个:池中水流速度不稳定;②机械排泥设备复杂,对施工质量要求较高;
3.其适用条件为:①适用于地下水位较高的地区;②适用于大中型污水处理厂。
沉淀池的设计中,有一些重要的术语需要大家理解其含义,这些重要术语有表面水力负荷、固体负荷、堰负荷等,其含义如下所示:
1.表面水力负荷:水处理构筑物单位时间内单位表面积所通过的水量,又称液面负荷,单位为m3/(m2?h);
2.固体负荷:单位池面积单位时间承受的污泥量,单位为kg/(m3?d)。
3.堰负荷:单位出水堰长度单位时间内通过的水量,单位为L/(s?m)计。
对于堰负荷,有一个问题,就是如何控制沉淀池出口堰负荷?如果沉淀池的出水堰负荷超过规范规定的出水堰最大负荷时,可增加出水堰长度或出水堰可采用多槽沿程布置。
关于沉淀池的设计原则,《室外排水设计规范》给出了以下规定。
6.5.1:沉淀池的设计数据宜按表6.5.1的规定取值。斜管(板)沉淀池的表面水力负荷按本规范第6.5.14条的规定取值。合建式完全混合生物反应池沉淀区的表面水力负荷按本规范第6.6.16条取值。

▲表6.5.1沉淀池设计数据
6.5.14:升流式异向流斜板(管)式沉淀池的设计表面水力负荷,可按普通沉淀池的设计表面水力负荷的2倍计,但对于二次沉淀池,尚应以固体负荷核算。
6.6.16:完全混合生物反应池可分为合建式和分建式。合建式生物反应池的设计,应符合下列要求:①生物反应池宜采用圆形,曝气区的有效容积应包括导流区部分;②沉淀区的表面水力负荷宜为0.5m3/(m2?h)~1.0m3/(m2?h)。
6.5.2:沉淀池的超高不应小于0.3m。
6.5.3:沉淀池的有效水深宜采用2.0~4.0m。
6.5.4:当采用污泥斗排泥时,每个污泥斗均应设置单独的闸阀和排泥管。污泥斗的斜壁与水平面的倾角,方斗宜为60°,圆斗宜为55°。
6.5.5:初次沉淀池的污泥区容积,除设机械排泥的宜按4h的污泥量计算外,宜按不大于2d的污泥量计算。活性污泥法处理后的二次沉淀池污泥区容积,宜按不大于2h的污泥量计算,并应有连续排泥措施;生物膜法处理后的二次沉淀池污泥区容积,宜按4h的污泥量计算。
6.5.6:排泥管的直径不应小于200mm。
6.5.7:当采用静水压力排泥时,初次沉淀池的静水头不应小于1.5m;二次沉淀池的静水头,生物膜法处理后不应小于1.2m,活性污泥法处理池后不应小于0.9m。
6.5.8:初次沉淀池的出口堰最大负荷不宜大于2.9L/(s?m);二次沉淀池的出水堰最大负荷不宜大于1.7L/(s?m)。
本节主要讲解了沉淀池的设计计算部分,对于所有类型沉淀池都适用,需要掌握的知识点总结为以下几点:
1.容积沉淀又分为自由沉淀、絮凝沉淀、拥挤沉淀和压缩沉淀4种类型,每种类型的代表段工艺需要知晓;
2.沉淀池按位置和工艺不同的分类及其分类界限(初沉池和二沉池);
3.沉淀池按水流方向不同,可以分为平流式、竖流式和辐流式,以及每种形式的适用条件;
4.《室外排水设计规范》中规定的沉淀池的普适性设计原则。
相关资料推荐:
https://ziliao.co188.com/p63352747.html
知识点:沉淀池的设计计算
0人已收藏
0人已打赏
免费3人已点赞
分享
中水处理回用
返回版块9852 条内容 · 214 人订阅
阅读下一篇
生物膜法处理污水净化过程、工艺特征解析本节主要讲解生物膜净化污水的过程和生物膜法的特征两部分内容。 01 生物膜净化污水的过程 ▲生物膜结构及其传质过程 生物膜法处理污水中的有机物,主要依靠的就是生物膜中的丰富的微生物相,而生物膜净化污水中有机物主要是在好氧层内进行的,氧气、微生物所需要营养物质在流动的水层、附着水层、生物膜间进行传氧、传质,微生物的代谢产物则通过附着水层进入流动水层,并随其排走,而NH3、CO2等气态代谢产物则从水层逸出进入空气中。
回帖成功
经验值 +10
全部回复(0 )
只看楼主 我来说两句抢沙发