土木在线论坛 \ 建筑设计 \ 居住建筑设计 \ 中国古代都城的样貌与演变

中国古代都城的样貌与演变

发布于:2022-10-13 16:57:13 来自:建筑设计/居住建筑设计 [复制转发]

中国古代都城的发展中,有几个基本的组成部分及其相互关系的演变十分引人注目。包括宫殿、市坊、园苑与寺庙在内的这几个部分,成为中国古代都城中的基本构成要素。中国古代都城的演进史,正可体现在这几个部分的消长、更新、融汇与变化上。本文不揣浅陋,拟就这几个方面的问题作一点初步的探讨,以就正于识者。


宫殿区的日渐缩小——宫城位置的日益重要


宫殿部分在中国古代都城中往往独立成为一个小城,又称宫城。古代都城中的宫城,大约经历了由外向内的嵌入,由大向小的收缩,与城市中轴线的重合,由北向南的推移,前导空间序列的加强等过程,由此形成了一条有迹可循的都城规划演变史(图1)。

图片

图1 历代都城演进示意图


01


城与郭的分立,宫城独立于外


由于阶级的对立,统治者居住的宫城与普通市民居住的市郭之间的分离现象,很早就已经出现。史载“鲧筑城以卫君,造郭以居人”(《吴越春秋》),反映了远古传说时代,就已经出现了这种分离。根据记载与考古发掘,周代时,曾在洛阳建立王城与成周两座城市,成周城内居住着被征服的殷商“顽民”,城内划分为闾里。王城位于成周城西30里,为东周时的都城所在,为周代天子所居。若鲧筑城郭一说为后人臆断,则王城与成周之设,很可能是首开统治者居住的“城”与普通市民居住的“郭”分立而设之滥觞。


春秋战国时期,各诸侯国的都城几乎都分为城与郭两部分。城内多高大的夯土台,为当时宫殿的遗址;郭内则多有手工业作坊遗址。这时的城与郭,虽仍各自独立,却多已呈相互毗连、嵌接之势。如燕下都(图2)、齐临淄(图3)与韩故城皆然。这时的都城还不十分规整,也无城市的中轴线可言。

图片

图2 战国燕下都城平面图


图片

图3 战国齐临淄城平面图


02

城与郭融汇,宫殿弥散于全城


秦汉时代,海内一统,统治者雄心勃勃。宫殿在都城中的数量、规模与地位骤增。一座秦咸阳城,几乎就是一座宫殿之城。秦始皇建信宫于渭水之南,建朝宫于上林苑,写仿六国宫室于咸阳北阪,“南临渭,自雍门以东至泾、渭,殿屋复道周阁相属”(《史记·秦始皇本纪》)。又在咸阳城外建造了大量的离宫别馆。“咸阳之旁二百里内宫观二百七十,复道甬道相连,钟鼓、美人充之”(同上注)。


既然这时宫殿已突破了“城”的界限而大规模膨胀,则“郭”也不再是独立于城之外的部分,城与郭终于混而为一,郭以都城之外城的城垣形式出现,外城之中的每一组宫殿又有自己独立的墙垣,形成城中之城,普通市民居住的闾里、市肆、作坊,则夹杂在一座座宫城的间隙之中,造成所谓“官民杂处”的局面。


史料记载中秦咸阳城那种城郭混一、宫城林立、复道相通、官民杂处的情况,可以由汉长安城得到证实(图4)。汉长安城内,大部分为宫殿所占,仅长乐、未央二宫,就约占全城面积的1/2。此外,还有桂宫、北宫与明光宫。汉武帝时,又在城外未央宫西侧建建章宫。每座宫城之间,还有架空的阁道相通。普通市民居住的闾里,夹杂于宫城之间。由于宫殿的规模很大,数量亦多,调。城市的中轴线也不十分明显和突出。东汉洛阳城的情形(图5),与长安城相似,只是宫殿的规模小了一些。

图片

图4 西汉长安城平面图


图片

图 5 东汉洛阳城平面图


03

宫城集中而为一,宫殿中轴线与城市


中轴线重合汉末三国时代的曹魏邺城(图6),一改秦汉都城官民杂处、宫殿四布的格局,在规整的城墙以内,将都城分划为南北两部分。北部为宫殿、苑囿、官署与王室贵族居住的戚里,南部为规整统一的里坊。主要宫殿居于北部正中,面对一条宽阔的南北向街道,与外城南垣中门雍阳门遥相对应,形成一条明显的城市中轴线,宫城中轴线与城市中轴线的北段完全重合。显然,由于宫城规模的缩小,宫殿部分在都城中的地位,已经开始引起城市规划者的注意。

图片

图6 曹魏邺城平面图


早在先秦时期,就已经出现了“择中而立”的思想,“择天下之中而立国,择国之中而立宫”(《吕氏春秋》)。《周礼·冬官考工记》中提出的“方九里,旁三门,国中九经九纬,经涂九轨,左祖右社,面朝后市”的王城规划思想,似乎也暗示出宫城(朝),应当居于“左祖”与“右社”之中,假定祖与社在城内呈左右对称布置,似亦暗示着城内应有一条南北向的中轴线,而宫城应当位于这条南北中轴线上。但《周礼·冬官考工记》对于宫城在这条南北中轴线上,究竟位于什么位置,没有做出明确的规定,仅以“面朝后市”一语而一笔带过,这就使后世宫城多在都城的南北中轴线上推移不定,而以由北向南推移,直至推临都城之南垣为主要发展趋势。


事实上,“择中而立”最初只是一种理想而已,战国诸侯的都城多随地形之宜,秦汉都城,几为宫殿之城,“普天之下,莫非王土”,对称与否,居中与否,本不是什么严重的问题。正是曹魏邺城,首启将都城划整,将宫殿集中,并置于城市南北中轴线上之开端。


随曹魏邺城之后建立的北魏洛阳城(图7)与南朝建康城(图8),虽然是在旧城的基础上改建而成,却都已经形成明显的城市中轴线,宫城居于中轴线上略偏北处。洛阳宫城以北还设置有北宫与御苑。不同于曹魏邺城将宫城、御苑、官署与戚里与普通里坊南北对峙的布置,北魏洛阳与南朝建康在宫城两翼也已开始布置市民里坊,这反映了宫城及其附属的官署、苑囿的更加集中和城市中轴线的更加突出。

图片

图7 北魏洛阳城平面图


图片

 南朝建康城平面图


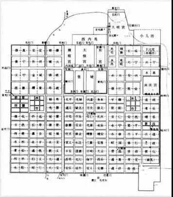
隋代大兴城(图9),是汉魏数百年来都城规划的一个总结。大兴城的规划中,将宫城、皇城与市民里坊严格区别开来。因为“自两汉以后至于晋齐梁陈,并有人家在宫阙之间,隋文帝以为不便事,于是接皇城以内,惟列府寺,不使杂居,公私有辨,风俗齐整,实隋文之新意也”(《唐两京城坊考》)。大兴城中的宫城位于城市中轴线的最北端,太庙、社稷坛与各种官署分列在宫城南侧的御道两边,外面周以围墙,形成皇城。宫城与皇城的东、南、西三侧,均布置了规划整齐的里坊,东西两市对称而立。南北向的中心大街——朱雀大街,为城内除宫城前具有广场性质的横街而外的最宽的一条街,又称“天街”。朱雀大街南通外郭明德门,北穿皇城朱雀门,直达宫城承天门,形成一条贯通南北的中轴线。宫城内的主要建筑,亦布置在这条中轴线上。朱雀大街两侧对称种植的两行槐树,使这条中轴线与其北端的宫城更为突出。时人所描述的“青槐夹驰道,宫观何玲珑”,正可体现这种效果。


唐代长安城在隋大兴城的基础上,又增加了大明宫与兴庆官,这两座宫城都不在城市的中轴线上,说明在唐代时,宫城择中而立的思想仍然不十分浓重,除沿袭前代将主要宫殿置于城市中轴线北端之外,还有一些随意的处理,并不十分拘泥。隋唐洛阳,作为陪都,将宫城置于城西北角的高地上,并形成一条偏轴线。更是都城规划中随宜处理的佳作(图9)。

图片

图9 (隋大兴)唐长安城平面图


隋唐都城中这种将宫城布置在城市中轴线的北端,周围布置规整里坊的做法,直接影响到当时的渤海政权与日本。日本的平城京、平安京与渤海政权的上京龙泉府城规划,几乎就是隋唐长安城的翻版。


04


三套方城制度,宫城居中

如同宫城与郭城之间,经历了分立、毗邻,而后括入郭城之内一样,宫城与皇城之间,也渐由相互毗连、并列,而变为皇城围绕宫城而设,最终形成了由宫城、皇城与外郭城层层环绕的三套方城式的都城规划形式。北宋汴梁城(图10)与金代中都城是这种规划形式的典型。

图片

图10 北宋汴梁城平面图


由于五代数十年的战乱造成的财力匮乏,人口的不断增加与商业的日渐繁庶,造成的居民区与商业区对城市空间的挤压,北宋统治者不再有可能建造如汉唐般规模宏巨的宫殿建筑群。宋代汴梁城内的宫城大内,只是在唐代节度使的衙署范围内稍加扩建而成。大内之外又设一道城墙,是唐代节度使李勉所修的府城城垣,宋代时相当于皇城城墙。皇城外所绕的外郭城城垣,为五代末与北宋初扩建而成。


由于宫城规模的大大缩小,其在城内的位置就显得十分重要了。宋代都域中宫城的位置,可以说是在沿袭隋唐长安城将宫城置于南北中轴线的基础上,将宫城沿中轴线向南推移,使规模远比隋唐宫城为小的大内,位于整座都城的中心部位,大内之外裹建三重城墙。直到这时,《吕氏春秋》中所提出的“择国之中而立宫”的思想,才得到了真正的体现,并成为后世仿效的都城规划原则。北宋灭亡之后建立起来的金中都城,基本上沿袭了北宋汴梁城的规划格局。


05

宫城继续向南推移,千步廊直抵外城南垣


元代大都城的规划,使宫城沿城市南北中轴线向南推移的演化步骤得以继续。这种继续,一方面反映了统治者试图进一步突出代表皇权象征的宫城在整座都城规划中的地位,另一方面也可能在很大程度上受到固有的蒙古民族风俗习惯的影响。这一点由历来的明清北京城,通过建造外城的方式,再一次将宫城置于城市中心部位的做法中,可以得到一些反证。

图片

图11 元大都城平面图


元大都城为一南北稍长而东西略狭的长方形(图11),大都城内亦有皇城与宫城之分,宫城在皇城内偏东,位于整座城市的中轴线上。对应于宫城部分的皇城南垣向外凸出,使宫城南门与皇城之间形成一个横长形广场,广场内有水一道,上设白石桥三座。由于宫城与皇城南垣的距离远比前代缩短,宋金时代都城中设于宫城与皇城之间的千步廊,这时被推至皇城南门灵星门与外战南门丽正门之间。千步廊两侧对称布置官署,气氛十分整肃。这样处理的结果,使宫城以南,通过广场与千步廊,直抵大都南垣正门丽正门,而无任何居民商肆位于宫城之前,使宫城的地位突出于整座城市中轴线的最南端。城市的几何中心处,则放一中心台,并建一中心阁以为标志。由丽正门、千步廊,穿过宫城中轴线,直达中心台、中心阁,适成大都城的南北中轴线。


由于宫城与皇城的南移,大都城的商肆多位于皇城以北中心阁、钟鼓楼以及沿什刹海的斜街一带,因此,元大都的规划被认为是严格遵循《周礼·考工记》“左祖右社,面朝后市”的结果。但若仔细深究,却又不尽然。大都城的这一特点,究其文化的渊源,似是漠北蒙古民族的固有文化,在封建都城规划中的一个反映。


在蒙古早期的军帐生活中,蒙古大汗作为宫殿用的金帐,称为“斡耳朵”,而斡耳朵的原意即为“中央”。显然,蒙古民族也同样认为大汗应该居于整个军帐部落的中央,只是这个“中央”,在蒙古人的概念中似乎是位于前部的正中,其后与两侧呈簇拥之势。据《鲁不鲁克东行记》的记载,蒙古大汗的军帐部落,“看来像一座伸延在他驻地四周的巨大城池”,“用他们的语言说,一座宫廷叫斡耳朵,它的意思是‘中央’,因为它总是在百姓的当中,不过,例外的是,没有人把自己安置在正南,因为宫廷的门是朝正南开的,但是按照地形,他们可以随意向左右伸延”。大都城的规划恰好与上述风俗相合,其间恐怕不会绝无关系。


但无论怎样,中国古代都城规划的发展中,将宫城由外部嵌入外郭城内,并将之逐渐缩小,而置于城市的南北中轴线上,然后再沿着这条中轴线,由北向南逐渐推移,几乎一直推到城市的最南端,使宫城在城市中的地位得到最大限度的突出,这一演进过程,到元代时可以说达到了一个极限,继之而起的明清北京城,则通过将元大都北垣的收缩,及向城市南部拓展这一步骤,又出现了向将宫城置于城市中心的回归(图12)。这一有趣的过程反映了宫殿在城市中的位置,确实是形成中国古代城市平面基本格局的主要动因之一。

图片

图12 从元大都到明清北京城的变迁

(刘敦桢主编《中国建筑史》)


06

宫城再次居中,前导空间序列的加强


明初建中都城与南京城时,已将宫城与皇城置于外城中部稍偏南的位置,与宋汴梁和金中都的布局方式颇相似。明永乐帝营北京城,最初只是因元大都之旧而改建之,格局上与元大都还比较相近。明嘉靖年间,由于加修了外城,将城南大片的市肆、街坊,与天坛、先农坛括进城内,使宫城再次位于整座城市的中央部位,其格局又与宋汴梁和金中都相似了。因此,明清北京城很有些复宋金之旧的意味。但这种复旧,又使宫城地位在新的意义上得到了突出。


从历史的发展过程来看,除了偏安一隅的小王朝都城如六朝建康与南宋临安而外,都城内宫城的规模,从汉唐经宋元而至明清,是由大到小逐渐递减的。明清北京紫禁城,作为全国性的统治中心,可以说是历史上规模最小的一座宫城。清代学者顾炎武云:“予见天下州之为唐旧治者,其城郭必皆宽广,街道必皆正直,廨舍为唐旧创者,其基址必皆宏敞。宋以下所置,时弥近者制弥陋。”(《日知录》卷12)从此说中可以对这一变化趋势略窥一斑。


为了使这样一个规模较小的宫城,在城市布局中得以充分突出,明清北京城在总结历代都城规划经验的基础上,一方面使宫城居于城市的中心部位,另一方面又通过一系列空间处理手法,使宫城的前导空间序列得以充分加强。这样处理的结果,同样使宫城在整座城市中的地位得到了最大限度的突出。


明清北京城的南北中轴线,由永定门、正阳门,通过千步廊、天安门、午门,穿过宫城中轴线,越过景山万春亭,直抵接近城北垣的钟鼓楼,长达8公里之多。在这条中轴线上,门殿起伏跌宕,空间抑扬顿挫,成为中国古代都城中最为突出、最为强烈、最为壮观,同时也几乎是最长的一条南北中轴线。在前导空间的序列组织上,北京城的规划者在继承元大都城将千步廊置于皇城以外,郭城以里的基础上,又将皇城城门天安门与宫城城门午门之间的距离大大加长,并在中间加了一道端门。端门与午门之间,又用一狭长形空间,使由正阳门穿千步廊,过天安门前横长形广场与端门前的方形广场而形成的一系列铺垫,在这一气氛肃穆的狭长空间中得以进一步加强。


此外,由南城永定门,经永定门箭楼、永定门、正阳门箭楼、正阳门、大清门、天安门、端门、午门与太和门,恰好布置了九道门阙,作为宫城大朝之所的太和殿前的门禁;由正阳门以里,从大清门,经天安门、端门、午门,过太和门至太和殿,又恰好为五座门殿。这些门殿数目,不会是偶然的巧合,很可能是当时的规划家有意这样处理,以将太和殿置于古代《易》经哲学中所谓“九五之尊”的贵位。并利用这重重门阙所造成的空间上的起承转合,以造成一种九重宫阙的深远肃穆的气氛。中轴线两侧,由天坛与先农坛,太庙与社稷坛,日坛与月坛等重要坛庙形成的拱卫之势,又使这条城市中轴线与位于中轴线上的宫城前导空间序列得到了进一步的强化(图13)。从历史的角度看,这样一种发展趋势的结果,正与《周礼·冬官考工记》中的以宫殿为中心,在宫殿前设“左祖右社”的王城规划思想(图14)相吻合。换句话说,与《周礼·冬官考工记》中的王城规划思想最为接近的都城,除了历史上曾经出现过的几座以宫殿为中心的城市之外,则属明清北京城了,尽管这不是一座一次建造而成的城市。

图片

图13 明清北京城平面图


图片

图14 《周礼·冬官考工记》中的王城平面图

《三礼图》中的周王城图


诚然,明清两代竭力突出宫城在城市中的地位,除了因为宫城的规模日渐缩小,不得不用上述城市规划与建筑艺术手段加以烘托而外,更重要的原因还在于,越到封建社会晚期,封建的中央集权的专制政体越得到加强的缘故。


城市由中古向近古转化的契机——市的突破与坊的瓦解


随着宫殿规模的日渐缩小与所处位置的日渐重要,一种相反的力量在中国古代都城内酝酿、发展,并逐渐挣脱了封建强权的束缚而几乎弥布于城市内部的各个角落。这种力量就是市易活动。市易活动的日益扩大,不仅打破了统治者人为限定的市场范围,也使中古式城市的组成单元—封闭的里坊逐渐瓦解,使古代都城渐渐具有了近古商业街道式的组成格局。这一由中古向近古转变的关节点,大约在中晚唐时期至北宋初年。


如前所述,早在周秦时代,已有了城与郭的分立。郭是手工业者与商贾的居住之所,内有手工业作坊与市肆。随着城与郭的相互嵌接、融合,宫城散布于外城之内的各个部分,普通市民居住的闾里与进行交易的市肆,被挤压、夹杂在宫殿衙署之间。至迟在汉代时,已出现集中设置的市。集中设市反映了当时商业已经比较发达,需要有较为集中的市易之所以便管理。


魏晋以后,城市中出现了规整的、围绕着宫城设置而又互不掺杂的里坊,并在适当的位置划出个别里坊,作为集中的市易之所—“市”。市也是一个坊,不过是用于交易的坊而已。如北魏洛阳已有大市、小市及与外国商人交易的四通市。


隋唐长安城与洛阳城,这一规划格局得以进一步完善。长安城内,在宫城与皇城之外,设有108个坊,坊内除皇城正南诸坊,因不欲开北门以防气泄冲宫阙,而设东西向的一字街外,一般里坊均设十字街;十字街内再分为小十字街。使一座封闭的坊内,分为16个小的分区。与十字街对应的坊墙上设有坊门,坊内居民皆须从坊门出入,严禁私自向坊外街道开门。并对此作了明文规定:“禁游食,抑工商,民有向街开门者杜之。”(《隋书》卷五十六)夜间,则实行宵禁制度,街鼓一响,坊门关闭,军卒在街上巡行,普通人不得出坊门之外(图15)。

图片

图15 封闭的唐代长安城内里坊(局部)


长安城内设有两个集中的市,称为东市与西市,两市分列于皇城以南的东西两侧。市的规模约相当于一个较大规模的坊。不同于坊的是,市内不是按十字街道划分,而是按井字街道划分,以增加市内临街的商肆店面。市周围亦设有坊墙,墙上设门,夜间必须关闭市门,并禁止进行市易活动。这说明,当时的市易活动是受到统治者的严格控制的。这一点从隋代统治者直言不讳地声称“抑工商”中,已可略知。

图片

图16 隋唐洛阳城平面图


还有一个有趣的例子,说明统治者对市易活动干预与控制的程度。如隋炀帝时的洛阳丰都市(唐洛阳南市)(图16),按照统一的规划,建造的“甍宇齐平,遥望如一,……市四壁有四百余店,重楼延阁,互相临映”。来自西域等地的外国商人请求到丰都市内进行交易,“帝许之,先命整饬店肆,檐宇如一;盛设帷帐,珍货充积。人物华盛,卖菜者亦藉以龙须席。胡客或过酒食店,悉令邀延就坐,醉饱而散,不取其值。绍之曰:中国丰饶,酒食例不取值。胡客皆惊叹,其黠者颇觉之,见以缯帛缠树,曰:中国亦有贫者,衣不盖形,何如以此物与之,缠树何为?市人惭不能答”。(《资治通鉴》卷181)


整肃如一的规划布置,对里坊与市肆的严格控制,对工商业的抑制,宵禁制度的实行,坊与市各自呈封闭形态而独立存在等,均构成了中古时期中国都城面貌的基本特征。但是,在这种严密的控制与束缚之下,却酝酿着一种突破性的力量—经济发展与商业贸易扩大的不可抗拒。


美学家李泽厚在《美的历程》一书中曾经指出:“中唐是中国封建社会由前期到后期的转折。它以两税法的国家财政改革为法律标志,世俗地主取代门阀地主,日益占据主要地位。中唐的这一转折,是由经济的发展所致,也为经济的进一步发展与社会风气的进一步世俗化奠定了基础。中唐以后,社会上层的风尚日趋奢华、安闲与享乐,“京城贵游尚牡丹三十余矣,春暮车马若狂,以不耽玩为耻”(《国史补》,转引自《美的历程》)。这种情况又从另一个侧面刺激了商业的发展。


唐代长安城内,随着工商业的日益繁盛,强制性的限制市易活动集中在东西两市的规定逐渐松弛。初唐高宗以来,与东西两市毗邻的各坊及位于城内主要街通上的城门附近与大明宫前各坊的内廊,沿着坊内的十字街道,已经开始出现一些临街开设的商肆,时人称这种商肆为“临路店”。盛唐以后,这种发展趋势加快,至中晚唐时,东市西北的崇仁坊,已经是“一街辐辏,遂倾两市”;西市东北的延寿坊,也被“推为繁华之最”(《杜阳杂编》卷下)。随着临路店的出现与迅速发展,在里坊的内部已渐形成临街开设店面的商业性街道。由此可知,在唐代长安城的里坊与两市内部,已经孕育着近古商业街道式城市模式的原始雏形。


中晚唐时,在东西两市与一些工商业较为发展的里坊内部,渐渐突破了宵禁制度的限制而出现夜市,如崇仁坊内,已是“昼夜喧呼,灯火不绝”(《长安志》卷八)。夜市的发展,使封建统治者极为恐慌,唐文宗开成五年(840年),曾下诏曰:“两京夜市宜令禁断。”(《唐会要》卷86)其实,帝王的强权,是不可能征服经济自身的发展规律的,晚唐以来,虽有人屡上奏折,要求禁断夜市,但夜市的发展却非但禁而不止,竟最后突破了高大的坊市围墙的限制而弥散于全城。到北宋初年,工商业的发展已经从空间上与时间上突破了中古时期都城中集中的市肆、封闭的里坊与严格的宵禁制度的束缚。宋代都城展现出与隋唐时代截然不同的崭新风貌。


北宋京都汴梁城内,商业与手工业已十分繁盛,人口不断增加,一般市民与商品市场也发生越来越密切的关系,商业活动已经成为一种早晚不息的经常性活动。像隋唐时期那种集市中的市场,已经远不能适应商业发展的需要。因此,汴梁城内没有明确规定的“市”,市易活动散布于城内各个角落,坊墙围护的封闭里坊已不复存在,沿街布满了高低错落的商业建筑,商店、酒楼、饭馆、药铺、浴堂、勾栏、瓦肆等,鳞次栉比。除一般性商业街道外,还出现一些商店密集的商业街区,如州桥大街与相国寺一带,旧曹门外、旧封丘门外等地,均为店铺云集、熙来攘往的繁华之所。由于汴梁城内人口密集,店铺民宅多向空中发展,城内建筑“三楼相高,五楼相向”(《东京梦华录》),高低起伏,参差错落,与隋唐两京街道上坊墙壁立、坊市内檐宇齐平的整肃气氛形成了鲜明的对照(图17)。

图片

图17 张择端《清明上河图》中的汴梁街道景象


由于建筑物的过分密集,城市防火问题也日益突出,因此,在汴梁城内还出现了相当完备的城市防火体系,“于高处砖砌望火楼,楼上有人卓望,下有官屋数间,屯驻军兵百余人,及有救火家事,谓如大小桶、洒子、麻搭、斧锯、梯子、火叉、大索、铁猫儿之类,每遇有遗火去处,则有马军奔报,军厢主马步军,殿前三衙,开封府各领军级扑灭,不劳百姓”(《东京梦华录》)。


南宋临安城的繁华程度,较之北宋汴梁又有过之。临安城“城郭广阔,户口繁伙,民居屋宇高森,接栋连檐,寸尺无空”(《梦粱录》)。城内商肆交易几乎通宵达旦,“杭城大街,买卖昼夜不绝,夜三四鼓,游人始稀,五鼓钟鸣,卖早市者又开店矣”(《梦粱录》)。

图片

图18 清末民初的北京前门大街


这种以纵横交错的商业街道为主的具有近古特点的城市格局,自北宋至于金元明清各代,一直延续下来,并得到了进一步的发展。明清北京城内的街道,与北宋汴梁城或南宋临安城一样,也是这样一种拥塞着临街商业店铺的格局(图18),完全没有了中古时代里坊式的肃杀景象。正是在这种城市格局下,日益增长的城市人口与日益发展的工商业经济,及由此产生的密集的市民居住区与商业街区,占据了城市中的大部分空间,才使得封建统治者的宫殿区被压缩在一个居于中央的相对狭小的范围之内。


自此,像汉唐时期那种巨大的宫殿建筑群,不会也不可能会再次出现,被压缩了的宫殿区,只有靠其所处的显赫的位置而逞王者的威风了。这一点也为前面所说的越到封建社会后期,都域中宫殿所占的比重越小,而位置也越重要的演变规律,找到了一点似可依据的原因。城市内宫殿区与市街区这两种相互对立的力量的消长变化,实在是中国古代都城发展史上一种耐人寻味的现象。


知识点:中国古代都城的样貌与演变

  • lijiawei411
    lijiawei411 沙发

    中国古代都城的发展中,有几个基本的组成部分及其相互关系的演变十分引人注目。包括宫殿、市坊、园苑与寺庙在内的这几个部分,成为中国古代都城中的基本构成要素。中国古代都城的演进史,正可体现在这几个部分的消长、更新、融汇与变化上。

    2022-10-18 11:24:18

    回复 举报
    赞同0
这个家伙什么也没有留下。。。

居住建筑设计

返回版块

28.74 万条内容 · 423 人订阅

猜你喜欢

阅读下一篇

单坡屋顶设计案例

案例一 山东青年政治学院科研创新区 以下图片来源:山东建筑大学 &山东建大建筑规划设计研究院,版权归其所有,仅供学习交流使用 ▼剖面图,section ▼轴测分解图,axon diagram ▼剖面图,section 三、单坡+平坡 1、“单坡+平坡”简图示意

回帖成功

经验值 +10